NEW

神栖市大野原3丁目中古住宅

2,500万円

茨城県神栖市大野原3丁目

鹿島線「鹿島神宮」駅バス33分関東鉄道「大野原西」停歩3分

成田線「小見川」駅バス35分茨城県神栖市「アートホテル鹿島セントラル」停歩9分

価格
2,500万円
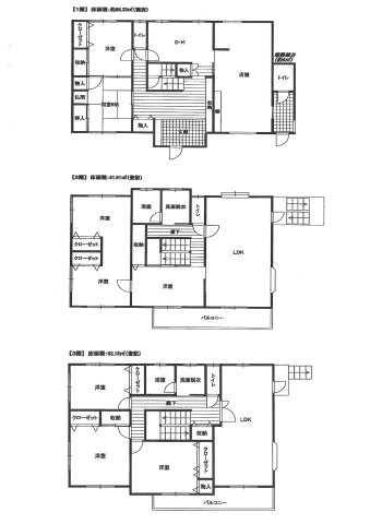
間取り
8LDK
土地面積
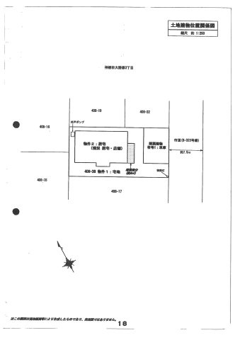
267.67㎡
所在地
茨城県神栖市大野原3丁目
交通

鹿島線鹿島神宮」駅 バス33分 関東鉄道「大野原西」 停歩3分

成田線小見川」駅 バス35分 茨城県神栖市「アートホテル鹿島セントラル」 停歩9分

建物面積
277.12㎡
築年月
1997年4月(築28年)

物件の特徴

  • バストイレ別

  • TVモニタ付きインターホン

セールスポイント

神栖市エリアでの住まいなら、住み心地も快適な「神栖市大野原3丁目中古住宅」はいかがでしょうか。家から247mのところに神栖大野原郵便局があります。2駅利用できる場所にあるので利便性が高いです。地域に特化した当社では、神栖市の不動産情報を豊富に取り扱っております。新天地で新たな生活をお考えなら、お気軽にご連絡ください。

基本情報

販売戸数
1戸
総戸数
1戸
間取り / 詳細
8LDK
向き
南東
建物面積(坪数)
277.12㎡(83.82坪)
土地面積(坪数)
267.67㎡(80.96坪)
建ぺい率 /
容積率
80%/400%
築年月
1997年4月(築28年)
駐車場 /
月額料金
有(2台) -
土地権利
所有権
土地
(敷金 / 保証金)
- / -
建物構造
鉄筋コンクリート / 3階建
傾斜地部分面積
-
路地状敷地
-
私道負担面積
-
セットバック
高圧線下面積
-
施工会社
-
用途地域
商業
地目 / 地勢
宅地 / 平坦
接道状況
一方(南東 公道 7.5m)
国土法届出要否
不要
都市計画
市街化区域
総区画数 /
販売区画数
1区画/1区画
現況
居住中
その他
法令上の制限
-
取引態様
一般媒介
引渡し
相談
取引条件の
有効期限
2026年03月18日

設備条件

設備条件
  • フローリング / バルコニー / 都市ガス / 公営水道 / 公共下水 / 電気有 / 2面バルコニー / 照明器具付き / 駐車2台可 / バス・トイレ別 / 洗面台 / 浴室1坪以上 / エアコン / TVモニタ付インターホン
設備(その他)
    -

その他

物件番号
93122452
管理コード
-
建築確認番号
-
情報更新日
2026年03月04日
次回更新予定日
2026年03月18日
取扱会社
  • ザ・ハウス株式会社
  • 茨城県つくば市島名万博公園西G5街区6 ワークつくばビル 102
  • TEL:029-896-7990
  • 茨城県知事 (1) 第7673号
  • (公社)全国宅地建物取引業保証協会
    (公社)茨城県宅地建物取引業協会
    (公財)東日本不動産流通機構

周辺施設

  • エニタイムフィットネス 神栖大野原店の画像

    その他

    エニタイムフィットネス 神栖大野原店

    108m(2分)

  • セブンイレブン 神栖1丁目店の画像

    コンビニエンスストア

    セブンイレブン 神栖1丁目店

    139m(2分)

  • 神栖大野原郵便局の画像

    郵便局

    神栖大野原郵便局

    247m(4分)

  • 丸亀製麺 神栖店の画像

    そば・うどん

    丸亀製麺 神栖店

    255m(4分)

  • 水戸信用金庫神栖支店の画像

    銀行

    水戸信用金庫神栖支店

    272m(4分)

  • カスミ 神栖店の画像

    スーパー

    カスミ 神栖店

    311m(4分)

  • ドラッグストアマツモトキヨシ 神栖店の画像

    ドラッグストア

    ドラッグストアマツモトキヨシ 神栖店

    396m(5分)

  • はま寿司 神栖店の画像

    寿司

    はま寿司 神栖店

    398m(5分)

  • ホーマック スーパーデポ神栖店の画像

    ホームセンター

    ホーマック スーパーデポ神栖店

    413m(6分)

  • スーパータイヨー 神栖店の画像

    スーパー

    スーパータイヨー 神栖店

    419m(6分)

  • 神栖市立大野原西小学校の画像

    小学校

    神栖市立大野原西小学校

    1121m(15分)

  • 神栖市立神栖第四中学校の画像

    中学校

    神栖市立神栖第四中学校

    1441m(19分)

支払いシミュレーション

月々の支払額
購入希望物件価格
万円
頭金
万円
金利
%
返済額(ボーナス1回分)
万円
返済期間

※ボーナスは自動で年2回分で計算されます。

近隣の物件

  1. 神栖市太田中古戸建

    神栖市太田

    4LDK (155.89㎡)

    3,500万円

  2. 【太陽光付きオール電化】神栖市大野原中古物件【長期優良住宅】

    神栖市大野原中央6丁目

    4LDK (113.78㎡)

    2,780万円

よく見られている物件

  1. 結城市大字結城店舗付き住宅

    結城市大字結城

    3DK+S(納戸) (126.19㎡)

    350万円

  2. 鹿嶋市大字平井中古戸建

    鹿嶋市大字平井

    7DK (221.94㎡)

    680万円

  3. 結城市結城

    結城市大字結城

    6LDK (160.84㎡)

    1,000万円

  4. 結城市中央町 売戸建

    結城市中央町2丁目

    3DK (78.66㎡)

    1,500万円

神栖市大野原3丁目中古住宅

神栖市大野原3丁目中古住宅

2,500万円

-

8LDK(277.12㎡)

お気軽にお問い合わせください

LINEからお問い合わせ 無料お問い合わせ

ザ・ハウス株式会社

029-896-7990

10:00~19:00

(休:なし)